Bahja Helou

164-44 89th Street , Howard Beach, NY 11414

New - 3 Hours Ago
View Full Photo Gallery

Property Description

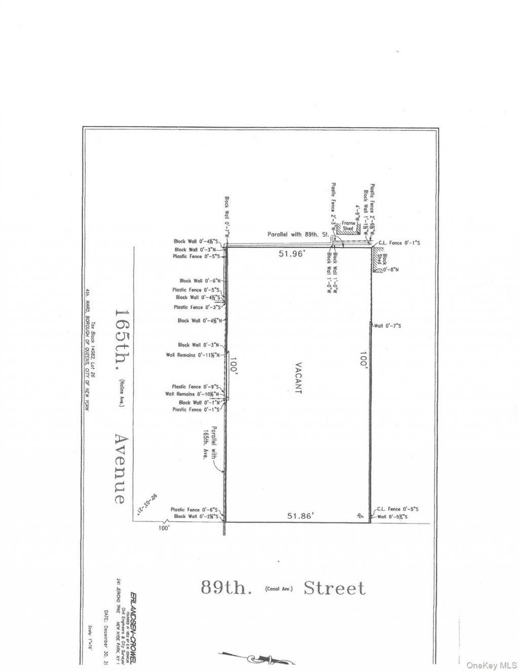
Vacant lot available for building your custom design home. 1 Family with 3 stories, detached 1 car garage at rear and custom yard with in-ground swimming pool. Square footage of 3100 square feet can all be permitted on this vacant lot of 51.86x100.

164-44 89th Street | MLS# 991410

This land located at 164-44 89th Street , Howard Beach, NY 11414 is currently listed for sale with an asking price of $620,000. The property has approximately 0.12 Acres. 164-44 89th Street is located within the Queens 27 school district. Search Howard Beach real estate on bahja-helou.coldwellbankerprime.com today.

Gallery

Property Features

Property Type: Land - Lot/Land
Fenced: Yes
Lot Size: 0.12 Acres
Taxes: $3,085

Feature Descriptions

Current Use: Vacant
Fencing: Fenced
Lot Features: Cleared
On Market Date: 2026-04-27
Parcel Number: 14082-0026
Rental Term: Monthly
Sewer: Public Sewer

Local Schools

High School: John Adams High School
Middle School: Jhs 202 Robert H Goddard
Elementary School: Ps 207 Rockwood Park
School District: Queens 27

Estimate Your Payment

Estimated Payment

$ 1,817.77 per month $1,379.85 Principal & Interest $257.08 Property Tax $180.83 Homeowner's Insurance

Change Payment Information

%
years/fixed
yearly
yearly (est.)
(Payments are an estimate and may vary by lender)

Demographics

Listed By / Shown By

Listing By

Agency Name: Century 21 Amiable Rlty Grp II
Agency Contact: 718-835-4700

Shown By

Agent Name: Bahja Helou
Agent Phone: (518) 954-5092 Cell
Agency Title: Coldwell Banker Prime Properties

IDX logo

Login to My Homefinder

Pixel